Об установлении публичного сервитута

АДМИНИСТРАЦИЯ 
КОНАКОВСКОГО МУНИЦИПАЛЬНОГО ОКРУГА
==========================================================

П О С Т А Н О В Л Е Н И Е

24.01.2025 г.                  г. Конаково                                  № 74

 

Об установлении публичного сервитута


В соответствии с Земельным  кодексом Российской Федерации от 25.10.2001г.  № 136-ФЗ,  Федеральным законом от 06.10.2003 №131-ФЗ «Об общих принципах организации местного самоуправления в Российской Федерации», Федеральным законом от 13.07.2015 №218-ФЗ «О государственной регистрации недвижимости», руководствуясь Уставом   Конаковского муниципального округа Тверской  области, а также рассмотрев обращение  Акционерного общества «Газпром газораспределение Тверь» (ИНН 6900000364) об установлении публичного сервитута  и другие представленные материалы, 

ПОСТАНОВЛЯЮ:

1. Установить публичный сервитут (далее – публичный сервитут) для использования объекта земельных отношений  с целью  (в целях): строительства, реконструкции, эксплуатации, капитального ремонта линейных объектов  систем газоснабжения, их неотьемлемых технологических частей, необходимых для подключения (технологического присоединения) к сетям инженерно-технического обеспечения:  «Газопровод  к гостинице по адресу: 171720,Тверская область, м.р-н Конаковский, г.п. поселок  Новозавидовский, д. Тешилово, з/у 69:15:0000024:2543»  в отношении
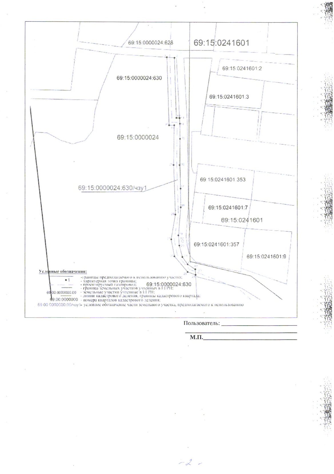
- части земельного участка с кадастровым номером  69:15:0000024:628/чзу1  площадью    162   кв.м. (приложение № 1 на 1 листе), 
- части земельного участка с кадастровым номером  69:15:0000024:630/чзу1  площадью    655   кв.м.(приложение № 2 на 2 листах), 
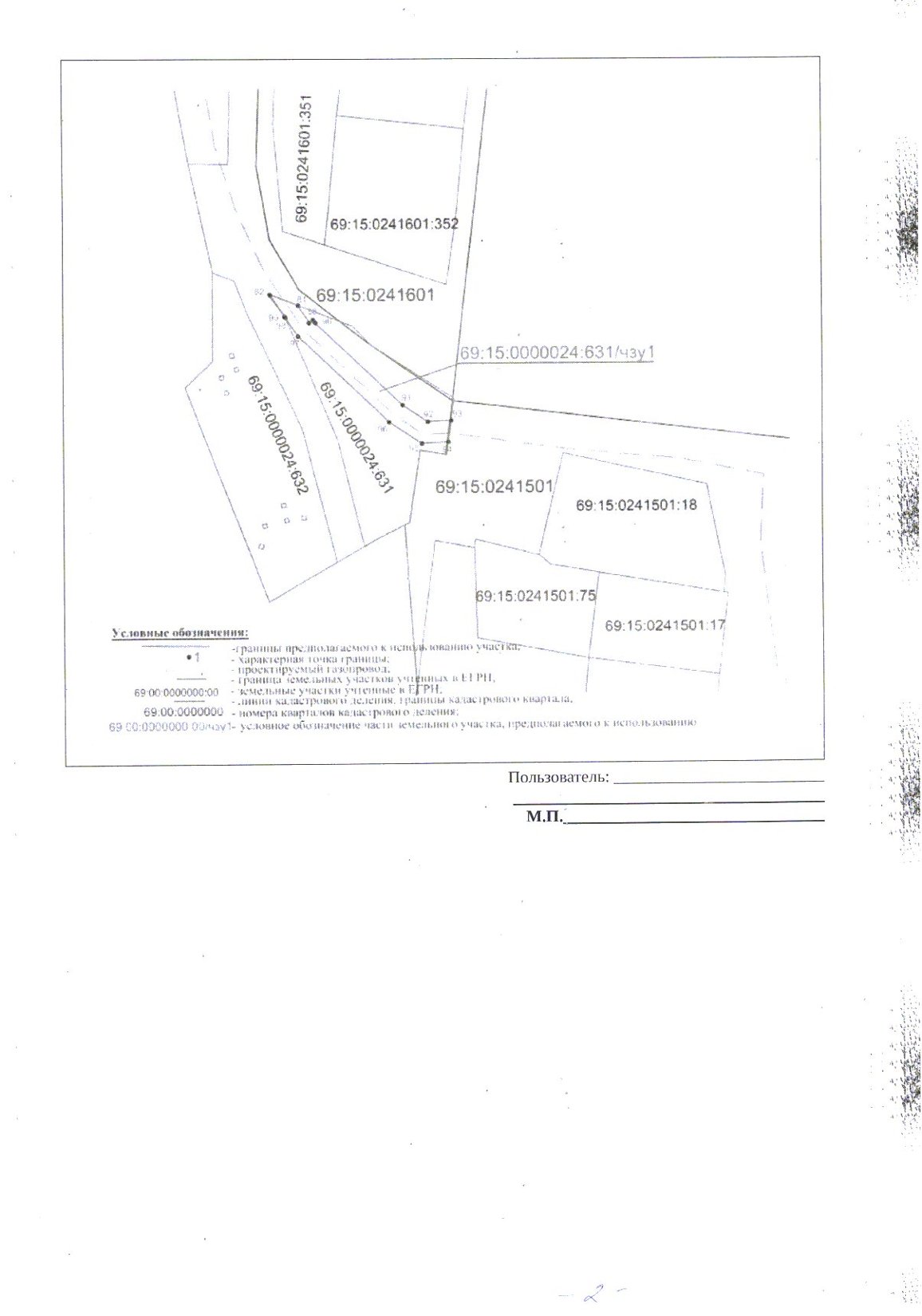
- части земельного участка с кадастровым номером  69:15:0000024:631/чзу1  площадью    250   кв.м. (приложение № 3 на 2 листах), 

 местоположение: Российская Федерация, Тверская область, Конаковский муниципальный округ (далее – объект земельных отношений).    
2. Утвердить схемы границ предполагаемых к использованию земель или части земельного участка на кадастровом плане територии  (границы публичного сервитута)  площадью    162   кв.м.  (приложение № 1), площадью    655  кв.м.  (приложение № 2)    и площадью    250   кв.м. (приложение № 3). 
3. Лицо, на основании ходатайства которого принято решение (обладатель публичного сервитута) - Акционерное общество «Газпром газораспределение Тверь» (ИНН 6900000364).  
4.  Установить  срок публичного сервитута  - 10 лет.
   Считать публичный сервитут установленным со дня  внесения  сведений о нем в Единый государственный реестр недвижимости.
5. Обладатель публичного сервитута обязан  вносить плату за публичный сервитут, если иное не предусмотрено Земельным кодексом Российской Федерации. Размер платы за публичный сервитут, порядок  и срок ее внесения определяются в соответствии со статьями 39.46; 39.47 Земельного кодекса Российской Федерации, если иное не установлено указанным кодексом.
6. График проведения работ при осуществлении деятельности, для обеспечения которой устанавливается публичный сервитут в отношении объекта земельных отношений, находящегося в частной   собственности: устанавливается - Акционерным обществом «Газпром газораспределение Тверь»  ежегодно с 1 января по 31 декабря (при необходимости).
7.  Обладатель публичного сервитута в 3-х месячный срок с момента наступления соответствующих обстоятельств, предусмотренных частью 8 статьи 39.50 Земельного кодекса Российской Федерации, обязан привести объект земельных отношений  в состояние, пригодное для его использования в соответствии  с разрешенным использованием.
8.   Контроль    за   исполнением настоящего Постановления  возложить на первого заместителя главы Администрации Конаковского муниципального округа.
9.  Настоящее Постановление вступает в силу с момента подписания и  подлежит опубликованию в газете «Заря», размещению на официальном интернет – сайте Конаковского муниципального округа Тверской области.

Глава  Конаковского 
муниципального округа                                                                    А.М.Пляскин

Тип документа: 
Постановление
Дата документа: 
24/01/2025
№ документа: 
74